ഹൈദരാബാദ്: മന്ഥ ചുഴലിക്കാറ്റ് എത്തുന്ന സാഹചര്യത്തിൽ നൂറോളം ട്രെയിനുകൾ റദ്ദാക്കി റെയിൽവേ. റദ്ദാക്കിയവയിൽ പാസഞ്ചർ ട്രെയിനുകൾ മാത്രമല്ല എക്സ്പ്രസ് ട്രെയിനുകളുമുണ്ട്. ടാറ്റാ നഗർ-എറണാകുളം എക്സ്പ്രസ് റായ്പൂർ വഴി തിരിച്ചുവിട്ടുവെന്നും സൗത്ത് സെൻട്രൽ റെയിൽവേ അറിയിച്ചിട്ടുണ്ട്.
റദ്ദാക്കിയ ട്രെയിൻ സർവീസുകൾ കാലാവസ്ഥ മെച്ചപ്പെട്ട ശേഷമുള്ള വിശദമായ സുരക്ഷാ വിലയിരുത്തലിന് ശേഷം മാത്രമേ പുനരാരംഭിക്കൂ എന്ന് അധികൃതർ അറിയിച്ചിട്ടുണ്ട്. മുൻകരുതൽ നടപടിയുടെ ഭാഗമായി ഈസ്റ്റ് കോസ്റ്റ് റെയിൽവേ ഒഡീഷ-ആന്ധ്ര റൂട്ടിലെ നിരവധി സർവീസുകളും നിർത്തിവച്ചിരിക്കുകയാണ്. മോശം കാലാവസ്ഥ വിമാന സർവീസുകളെയും ബാധിച്ചിട്ടുണ്ട്. വിശാഖപട്ടണം വിമാനത്താവളത്തിൽ നിന്നുള്ള ഇൻഡിഗോയുടെയും എയർ ഇന്ത്യ എക്സ്പ്രസിന്റെയും എല്ലാ സർവീസുകളും റദ്ദാക്കിയിട്ടുണ്ട്. വിമാനത്താവളത്തിലേക്ക് പുറപ്പെടുന്നതിന് മുമ്പ് യാത്രക്കാർ വിമാനത്തിന്റെ നിലവിലെ സമയക്രമം പരിശോധിക്കണമെന്നും അധികൃതർ നിർദ്ദേശിച്ചിട്ടുണ്ട്.
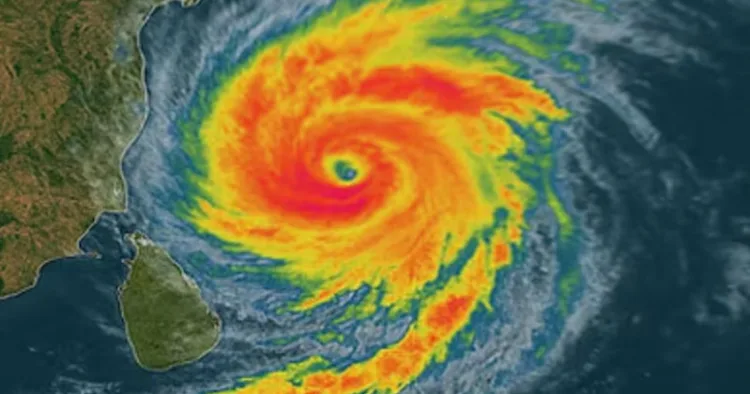
അറബിക്കടലിൽ രൂപം കൊണ്ട അതിതീവ്ര ചുഴലിക്കാറ്റായി രൂപം പ്രാപിക്കുകയായിരുന്നു. മന്ഥ കാരണം ആന്ധ്രാപ്രദേശിലും ഒഡീഷയിലും ചില സ്കൂളുകൾക്ക് അവധി പ്രഖ്യാപിച്ചിട്ടുണ്ട്. ആന്ധ്രപ്രദേശിലെ കൃഷ്ണ, ഈസ്റ്റ് ഗോദാവരി, കോനസീമ, നെല്ലൂർ എന്നീ നാല് ജില്ലകളിലെ സ്കൂളുകൾ, കോളേജുകൾ മറ്റ് വിദ്യാഭ്യാസ സ്ഥാപനങ്ങൾ എന്നിവയ്ക്ക് ഒക്ടോബർ 28 മുതൽ 30 വരെ അവധി പ്രഖ്യാപിച്ചിട്ടുണ്ട്.
മുൻകരുതലിന്റെ ഭാഗമായി ഹോസ്റ്റൽ വിദ്യാർഥികളെ വീടുകളിലേക്ക് പറഞ്ഞുവിട്ടു. ഒഡിഷയിലെ മാൽക്കൻഗിരി, കോരാപുട്ട്, രായഗഡ, ഗഞ്ചം, ഗജപതി, കാണ്ഡമാൽ, കലാഹണ്ടി, നബരംഗ്പൂർ എന്നീ എട്ട് ജില്ലകളിലെ സ്കൂളുകൾക്കും അങ്കണവാടി കേന്ദ്രങ്ങൾക്കും ഒക്ടോബർ 30 വരെ അവധി പ്രഖ്യാപിച്ചിട്ടുണ്ട്.
















